水利工程闸室结构模板支撑与混凝土施工技术应用
陈盼华 薛强
中国水利水电第十一工程局有限公司 河南省郑州市 450001
引言
水利工程在国家经济发展中具有重要作用,同时在水资源的利用方面发挥着关键作用,如水资源合理调配、灌溉发电、防洪抗旱等。闸室结构的整体质量对水利工程设施的运行效率和效益有着较大的影响,为了进一步提高闸室结构的持久性、强度和尺寸准确度,需利用模板和混凝土施工技术加固闸室结构稳定性。现如今,在水利工程建设规模的日益增长下,对其施工技术要求逐渐提高,需不断加强对模板支撑、混凝土施工技术的优化应用,推动水利工程设施建设的高质量发展。本文为深入研究模板支撑和混凝土施工技术在水利工程闸室结构的应用效果,以西山溪接收井半洋隧洞分水闸工程为例,展开技术讲解,希望能促进相关工程施工技术的创新发展。
1 工程概况
西山溪接收井半洋隧洞分水闸地理位置为潮安古巷的鹿湖隧洞尾端、GX01# 盾构机西侧及枫江北侧。该分水闸包含多个结构,其底榄、闸中心、封孔高程与尺寸分别为-7.506m、-5.256m、4.5m*4.5m,同时闸口进口设置了 1 孔 1 扇分水闸门。为确保后期闸口维修工作特设置启闭机架和检修平台,其高程分别为 21.944m 、 13.244m⨀ 。在井内施工过程中,需严格把控施工幅度,防止对井内内部结构造成破坏。此外,当井设备设置完成后,可实现混混凝土浇筑,其面积为 13.244m. 。为接收井内相关信息需在井外设置液压泵房和信息化室。
西山溪接收井为建筑一级等级,需严格把控建筑内各环节、结构的数据,确保施工的质量。如需选择 2.5m 的底板、自然地面13.6m、顶部标高 -11.956m、其中围护结构选择 1.0m 宽 C30 地连墙以及 1.5m 厚 C30 钢筋混凝土的内衬墙。在设置接收井时,井深32.2m、内径 19.0m、上部十字梁高程 20.244m
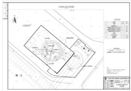
现阶段,由于该地雨季水量较大可达42.5 万 m3 ,需设置水泵,对西山溪接收井进行排水处理。为了确保后续施工的进度,需对GX01# 工作井进行盾机构拆解吊装,因为施工过程中存在多项作业同时进行,需合理规划各项施工安排,防止对施工顺序和安全造成影响,具体分布示意图可参考图 1,本文将对模板支撑和混凝土施工技术在该工程中的具体用展开研究。
图1 西山溪接收井半洋隧洞分水闸平面布置图

2 闸室结构模板支撑技术
2.1 模板选型
充分考虑结构特点选择合适的模板选型。在该工程中经过实地考察和研究选择 100cm×200cm 、每块面积 2m2 的竹胶板,实现对胸墙、闸室闸墩、空箱岸墙的全覆盖。在选择材料时,需充分考虑材料的特性,利用力学材料特征,选择抗压能力强、弹性好的竹胶板。为提高工程施工的质量,需选择光滑的竹胶板,混凝土浇筑进行固定,确保砼外的平整度。在某工程建设过程中,采用抗压强度高,韧性好的竹胶板,不仅提高了工程施工效率、降低成本,还满足了工程需求。
为了选择适合闸墩圆头部位的模板,特制定了专门的圆形模板。特制的圆形模板不仅能够符合闸墩源头部位结构特征,同时提高了工程结构的稳固性。由于该模板制作过程较为复杂,首先,根据对闸室结构数据进行记录如弧长、半径等,并根据相关数据设计图纸;其次,选择优质的木材进行加工,可利用相关设备提高加工的精准度,如数控雕刻机。最终将加工完成后的木材进行打磨,确保木材表面的光滑和平整度,提高闸室结构的稳定性。
闸室结构中的空箱内部及背水侧需选择钢木板。为了提高空箱内部及背水侧的承载力和施工压力,需选择优质的钢模板确保其高强度的屈服度和抗拉度。为了促进工程的稳定性和安全性,需严格把控模板的施工质量,防止其发生变形等状况威胁工程结构稳定性。从经济效益方面出发,为降低模板的使用成本,可选择优质的模板材料,防止加大后期成本维修费用。以某大型水利工程为例,在该工程的空箱内部和背水侧模板选择时,考虑了钢材的屈服强度和抗拉强度,实现了模板的周转利用,极大降低了模板成本。为了满足模板的强大负荷能力,可选择 Q235 或 Q345 的钢材。在制作钢板模板时,为确保钢模板的稳定性和抗压性,需选择最优焊接工艺,提高钢模板制作质量。此外,为实现模板的稳固性,需严格控制模板切割焊接的精准度和平整度,其平整度误差小于 ±1mm,对角线误差小于±3mm。
2.2 支撑架设计
在支撑架设计阶段,为提高支撑架承载力,本工程可选择钢管脚手架(图 2),同时对受力范围进行计算。在受力计算阶段,需考虑胸墙的体积和混凝土的密度,并从多方面对受力范围进行计算,如胸墙自身的负荷能力;支撑架使用范围较广,当施工人员进行作业时,需对其产生的荷载力进行计算;同时,在混凝土浇筑过程中,浇筑的高度和速度会产生一定的冲击力,从而增加了支撑架的负荷力。
图 2 盘扣式钢管支架图

在计算支撑架承载力时,需选择合适的、科学的方法,确保脚手架参数的精准度和科学性。在某水闸工程中,通过科学的受力分析,为满足支撑架的承载稳定性,将脚手架立杆与胸腔承重之间的距离调整为 1.2m ,极大提高了空间利用效率;为提高整体结构的稳固性,将横杆步距调整为 1.5m ,实现各支撑架之间的平衡受力。为了提高施工质量、确保施工人员安全,通过科学的计算,设置了合理的剪刀撑,极大提高了脚手架的稳定性。为计算受力范围,可选择有限元分析软件,如ANSYS、Midas。利用ANSYS 软件时,首先,对脚手架中的各部件尺寸进行测量计算,并根据连接方式实行建模;其次,对脚手架的承载力进行模拟实验,增加各种荷载;针对活荷载,可模拟人工作业时的集中荷载或均匀分布荷载,从而判断活荷载范围;再通过混凝土在浇筑过程中的高度和速度,对荷载力进行判断;最终利用该软件将模拟的相关数据进行研究计算,从而得到相应的脚手架参数,如各杆件的应力、应变、变形状况。
根据脚手架的参数绘制施工图,从而为实际施工提供平面图指导。首先,对实际施工结构和环境进行勘测,将实物图和模型中各部件的位置、连接方式和尺寸进行对比,从而实现横杆、立杆等各部件位置的标注。为了提高施工的质量和安全,需根据相关设计需求和规范,在绘制施工图时,将软件计算的脚手架参数作为依据,当施工图完毕后,需由专业的监理工程师进行审核,审核成功后,可将该施工图作为实际参考图,运用在施工现场。监理工程师在审核过程中,为提高施工的科学性和有效性,可以从多方面进行综合考察,如施工可行性、结构安全等。在绘制脚手架施工图过程中,为确保绘制的准确性和数据精准度,需借助相应的绘图软件如AutoCAD,提高绘图的科学性。为了区分各部件的连接和数据,需选择不同的颜色和线型进行区分,确保横杆立杆等杆件长度和直径的准确性。为确保连接方式的细节,应对链接的类型和位置进行标记。此外,为了让施工人员更加精准的理解施工图中的各个设计,将个连接位置和相对位置进行标记,如立杆与模板边缘距离、横杆与结构物支撑点位置等。在审批过程中,监理人员需严格进行审查,防止图纸的参数或连接方式出现误差,对后续施工进度造成影响,监理工程师需对施工现场进行勘测,实现与图纸的比对。
2.3 模板安装要点
严格遵循施工图纸进行现场模板安装。各环节需选择合适的零部件,如在侧面模板安装过程中,需严格把控螺栓的间距,确保工程的稳定性和安全性,其中,选择 Φ 16 对销螺栓,间距设置为60×90cm, 。为了提高模板的抗压能力,促进整体结构的稳定性,在混凝土浇筑阶段,对混凝土侧压力进行判断计算,优化调整螺栓间距,提高混凝土模板承载能力,防止其发生变形,从而提高整体的施工质量。遵循力学原理,合理设置螺栓间距,可有效缓解模板承受的负荷力。同时,根据相关理论计算模型实现螺栓间距的检测。比如,将混凝土测压力实现三角形分布,利用模板弯曲理论,建立力学平衡方程,通过对该方程的求解,对螺栓间距范围进行设置,从而确保了模板结构的稳定性。经过计算分析和相关工程案例的参考,将螺栓间距确定为 60×90cm 。在实际施工过程中,需经过实践检验,合理调整螺栓与木板之间的接触面积,进一步提高螺栓与模板之间的共同负荷能力。其中,硝螺栓可选择高强度的钢材,有效提高其抗压强度,防止在受力时发生松动,对整体结构的稳定性造成破坏。
利用相关材料对模板的缝隙进行填塞如玻璃胶、海绵条等,进一步提高模板的密封性。为了提高混凝土质量和抗压强度,需对模板缝隙漏液等问题进行处理。为了防止模板漏浆,可利用海绵条实现缝隙的填补和泥浆的堵塞。玻璃胶密度小具有极强的防水性和粘结性,可有效对模板缝隙进行填塞。为了有效降低模板缝隙,漏浆等问题,需对模板的安装、切割等多环节进行严格把控,
在选材时,需严格确保模板的韧性和强度,应对各种承载力。为了进一步提高模板的稳定性,在施工阶段,须严格把控各结构的参数,降低施工误差。比如,为确保施工设计符合工程需求,需严格把控闸室结构的各项数据精准度。为了降低误差,使其符合设计值范围内,需在实际操作中,规范施工人员使用专业的设备,对模板的各项参数进行精准测量,防止出现较大误差。
对模板缝隙进行填塞时,首先,清除模板表面的污垢,其次,需选择质量优良的海绵条,如弹性好、密度适中,确保海绵条的宽度符合缝隙需求;选择海绵条进行堵缝时,可以实现完全密封,需要选择品质优,防水性能好的产品,确保填补过程中的平整度和连续性。为进一步测量模板垂直度和平整度,在模板安装完毕后,可借助相关测量仪实现其精度的测量检验,如全站仪、经纬仪。平整度测量可利用靠尺或塞尺,针对平整度低的部位可进行打磨,确保模板的平整度和垂直度,提高模板的稳定性和安全性。
2.4 模板与支撑架的连接节点处理
模板与支撑架连接的稳定性是保证整体结构稳定的重点所在。在本工程中模板与盘扣式脚手架的连接主要采用的是 " 双拼钢管主楞 + 方木次楞 + 对拉螺栓" 的复合节点形式(图 3)。在具体施工过程中,要沿着模板的竖向方木让其与竹胶板紧密结合,然后用钉子进行固定。随后要对主楞进行加固,让次楞与主楞垂直交叉,通过卡扣与盘扣的脚手架立杆锁定,形成稳定的结构。对于双面模板,要使用M12 对拉螺栓贯穿模板,有效固定模板,确保其在混凝土浇筑时不出现位移 ,。在闸室的阴阳角处,主楞要使用 90 度的直角扣件进行连接。次楞要延伸至转角外侧的 50mm 出,避免出现拼接错漏,影响后续混凝土浇筑。
混凝土开裂。两种外加剂需合理配置,防止对混凝土强度和稳定性造成破坏。在该工程中,经过多次实验,实现了混凝土配合比的最优化,根据混凝土的抗压强度、抗渗性、坍落度等,有效实现各材料的配比,其中砂率为 38% 、水泥用量为 350kg/m3 、水灰比比为0.42、外加剂为 1.5% 。除此之外,为了选择最优水泥品种,需考察工程的具体环境。比如,当工程建设位于有硫酸盐侵蚀风险的环境中,需要有效调节水泥品种选择抗硫酸盐硅酸盐水泥,防止硫酸盐对混凝土侵蚀。为了有效判断水泥用量的准确性,可建立强度与水泥用量的关系曲线,并结合水化热结果,判断水泥用量标准。为了有效控制水化热,每立方米混凝土的水泥用量需小于 500kg ,极大提高了混凝土强度。为提高混凝土的密实度和性能,实现骨料的级配优化,确保骨料含泥量和泥块含量的合理配置,骨料按颗粒度可分为细骨料和粗骨料,其中,粗骨料含泥量小于 1% ,泥块含量小于 0.5% ;细骨料含泥量小于 3% ,泥块含量小于 1% 。在外加剂种类和掺量选择时,需通过多次实验比对,根据扩展度、坍落度和抗压强度,实现掺量的优化配比。
3.2 混凝土运输与浇筑
在混凝土运输与浇筑过程中,需选择合适的车辆装备与设施。针对该工程,为实现最大浇筑强度需求,可利用混凝土输送泵实现运输,并配备移动式砼输送泵车。在混凝土运输过程中,防止输送过程中发生巨大冲击,对混凝土结构造成破坏。在浇筑过程中,利用混凝土泵进行浇筑,此时,为提高整体施工质量,需加强对输送管道的固定,防止因脉冲振动造成模板钢筋位置的变动。基于此,在混凝土运输与浇筑过程中,需加强对各个设备的保护,提高运输与浇筑的稳定性,确保施工的质量。
为了提高混凝土浇筑质量,在浇筑前需做好一系列检查工作,如模板、预埋件、钢筋等。确保预埋件的位置数量的准确性和稳定性;确保模板安装的牢固性和拼接的紧密性;确保钢筋规格、数量、质量符合设计需求,确保连接方式符合规范要求。此外,在混凝土浇筑时必须避开施工缝,且做好清理工作,参考图 3 清完后才可进行后续施工。重点是在混凝土浇筑前需清除模板内的杂物等,确保混凝土浇筑的质量。
图4 施工缝处理大样图

混凝土在浇筑过程中实现分层浇筑,并对厚度进行严格把控,提高混凝土浇筑的安全性。首先,在浇筑过程中,需根据浇筑的厚度进行分层调整,需配备 1 台泵车进行连续浇筑,防止混凝土底层发生凝固,对后续浇筑质量造成影响。为了提高大面积混凝土浇筑的密实度,可在闸室内设置宽度为 50 米的马道板,一旦浇筑高度为马道板的一半,需利用人工稳固泵管,振捣混凝土。在浇筑过程中,需选择 50 型 9m 长振捣棒,确保混凝土振捣的密实度,同时需要配备多个工人对浇筑的模板进行观察,一旦发现模板、支架发生变形,需立即停止浇筑工作,直到加固完成后才能继续工作。泥凝浇筑图如下所示:
图3 闸室上方柱模板加固

3 混凝土施工技术
3.1 混凝土配合比设计
在混凝土配合比设计阶段,需根据具体工程状况、环境和结构需求进行设计。首先,为确保混凝土的强度和持久性,需选择适合该工程的水泥等级,如硅酸盐水泥。其次,为符合该环境需求,需选择抗侵蚀能力强的水泥等级。可通过水泥水化后的反应进行判断,一般,硅酸盐水泥中的矿物质成分如硅酸二钙、硅酸三钙等与水发生反应后,可产生水化产物,通过对水化产物强度的判断,确定水泥等级。然后,根据该工程结构设计需求,确定水泥用量提高混凝土强度,一般状况下,水泥用量较多会产生较多水热化从而导致混凝土开裂,因此,需合理配置水泥用量。为了提高混凝土强度和和易性,选择等级良好的骨料,实现骨料含泥量和泥块含量的优化配比。为了提高混凝土的强度和性能,需在混凝土内加入外加剂,如高效减水剂、膨胀剂。高效减水剂的主要作用是减少用水量,提高混凝土的强度;膨胀剂的主要作用是有效实现混凝土的收缩,防止
图5 分水闸混凝土浇筑顺序布置图

3.3 混凝土养护与温控
在混凝土养护与温控过程中,需提高养护频率确保混凝土性能的稳定。为实现混凝土保温,需在混凝土表面设置薄膜,并加盖草包、土工布等材料,防止混凝土出现较大温差造成混凝土开裂。覆盖塑料薄膜,能够有效实现混凝土表面水分的循环蒸发,提高混凝土表面的湿度。在垂直面,为了提高其保温保湿效果可实行分阶段养护,在混凝土浇筑初期,利用模板确保混凝土表面的温度和湿度。在混凝土浇筑后期,可利用塑料薄膜和土工布对其进行养护与温控,进一步提高混凝土表面的温度和湿度。混凝土的养护与温控,极大确保了混凝土施工后的质量。
在养护阶段,需提高混凝土养护的频率,实现温度和湿度的实时监控。在该工程建设区域,采取相应的措施保持混凝土的温度和湿度,如在混凝土中埋设冷却水管。这种方法极大实现了混凝土温度的监测控制。为了提高养护效果,在埋设冷却水管时,需综合考虑多种因素,如混凝土温度需求、浇筑体积等,从而设置合理的间距和通水流量等。为了实现混凝土养护的高效化和有效性,在混凝土浇筑 3-5d 时,许对混凝土的温度进行监测记录,在部分关键部位需加强监测频率,根据温度监测结果优化养护方案;为提高混凝土的持久性和质量,需根据混凝土的温度调节冷却水管的流量和速度,当混凝土内部温度较高时,可增加冷却水管的流量和时长,有效实现混凝土内部的降温。同时,可采取表面物理保温方式,设置塑料薄膜,提高混凝土表面温度,降低混凝土内外温差。
4 施工过程中的注意事项
4.1 交叉作业管理
在该工程施工过程中,需加强交叉作业管理。由于该工程施工较为复杂,需对施工的各个环节进行严格管控,包括相邻事故闸的基坑开挖、盾构机拆解吊装、分水闸施工等。为了提高交叉作业管理的效率和施工安全,需根据工程整体规划设计合理的施工方案。比如,在同一工作区域施工的团队可划分施工范围,防止对双方施工作业造成影响;根据施工时间差,合理安排施工作业时间,降低同一区域工作现象。为了实现各施工团队之间的交流与协作,可设置施工沟通机制和信息传递机制,一旦出现交叉作业问题时,可及时沟通和协调,防止对施工进度造成影响。比如,某水利工程在施工过程中,建立了每日施工协调会制度,各施工团队在施工之前进行协商和规划,确保各施工团队的施工质量和效率,有效降低交叉作业带来的安全风险,进一步提高交叉作业管理的质量和效率。
4.2 结构保护
结构保护是施工过程中的重要注意事项之一,严格加强对原接收井顶部是字梁结构的保护。该结构的安全性及稳定性在该工程整体施工过程的安全和质量具有重大影响。在各项施工阶段需小心作业,防止对该结构造成破坏。比如,在闸门进入井内后,需确定闸门的安置位置,并实现精准起吊、安装;在分水闸闸门吊装时,须严格规划吊装路线,确保吊装的稳定性。在该结构中进行的所有施工作业需规范自身操作,防止发生碰撞等造成结构的破坏,从而影响工作进整体的安全性和稳定性。比如,某工程在施工过程中对字梁结构造成了破坏,导致施工团队不得不进行返工作业,不仅延误工程进度,还增加了施工成本。
结束语
为了进一步提高闸室结构的安全性、稳定性以及施工的质量,在西山溪接收井半洋隧洞分水闸工程的模板支撑与混凝土施工过程中进行了多环节的优化和数据比例的合理配置。比如,混凝土的浇筑、运输、养护与温控等多个环节,混凝土配合比模板与支撑架选择等。通过具体案例对于两种技术的实际应用效果进行了验证,通过结果显示,两种技术的应用,极大提高了该工程结构的质量和安全,促进了相关工程结构建设的发展。在未来,随着科学技术的创新发展,需利用先进的技术和方法实现水利工程建设的创新发展。
参考文献:
[1] 董欣婷 , 乔亮 . 水利工程混凝土结构施工技术解析 [J]. 中国科技期刊数据库工业 A,2024(11):092- 095.
[2] 蒋成霞 . 水利工程中水闸加固施工技术的应用探索 [J]. 中文科技期刊数据库 ( 文摘版 ) 工程技术 ,2019(8):00077- 00078.
[3] 刘帅 . 模板工程技术在水利工程施工中的应用研究 [J]. 安家 ,2022(9):0145- 0147.
[4]周在忠.一种钢结构边缘挑板模板支撑工具的研究及应用[J].中文科技期刊数据库(文摘版)工程技术 ,2024(11):193- 196.
[5] 范一超 .16.5m 高闸室墩墙结构一次浇筑成型施工技术 [J].珠江水运 ,2023(5):15- 17.
[6] 沈金平 , 刘翰波 , 张健华 . 整体式模板台车在有支护基坑内闸室墙身施工中的应用[J]. 港工技术与管理,2017(3):6- 8+ 38.
[7] 张铎 , 王平 , 黄巳华 . 新型大跨度现浇混凝土板状结构施工方法在李家岩水库中的应用 [J]. 四川水力发电 ,2023,42(S02):23- 26.
[8] 杨益民 , 赵高平 .75.6m 高空大型悬挑结构模板支撑施工平台设计与施工 [J]. 中文科技期刊数据库 ( 全文版 ) 工程技术 ,2021(11):388- 392.